Hello, dear friends!
You must have Javascript enabled in order to use the full functionality of RTI.
However, it appears that Javascript has been disabled or is not supported by your browser. Please change your browser options to enable Javascript and try
again
.
『Your browser does not support JavaScript function. If the webpage function cannot be used normally, please turn on JavaScript state in your browser』
Skip to the main content block
:::
Home
|
Panduan Website
|
Podcasts
|
T
T
T
|
繁中
簡中
English
Français
Deutsch
Indonesian
日本語
한국어
Русский
Español
ภาษาไทย
Tiếng Việt
Tagalog
Bahasa Melayu
Українська
Berita
Acara
Video
Podcasts
Siaran RTI
Acara
|
Ikhtisar
Kategori
Ikhtisar Kategori Acara
Gaya Hidup
Nasional
Pelajaran Bahasa
Hiburan
Wisata
Sains
Edukasi
Berita
Interaktif
Podcast
Kedai dan Kolom Pendengar RTISI
RtiFM Online
Penyiar
Pedoman Acara
Cari
Cari
Cari
Tag Terpopuler
Berita Taiwan
Taiwan Hari Ini
Berita Terpopuler
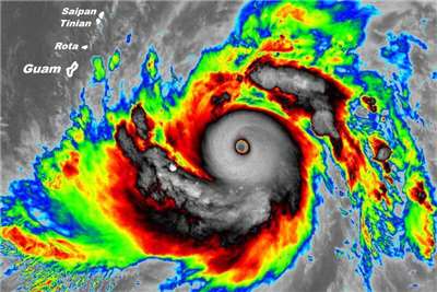
Terbesar dalam 68 Tahun! Citra Awan “Sinlaku” yang Mencengangkan Terungkap, Pakar: Taifun April Terkuat dalam Sistem Baru
(Taiwan, ROC) -- Taifun Sinlaku memiliki kekuatan yang sangat besar, dengan kecepatan angin maksimum di pusatnya yang mencapai angka 60 meter per detik. Hal ini menjadikannya sebagai taifun April terkuat sejak tahun 1991, ketika Ditjen Klimatologi Sentral (CWA) Taiwan mulai menggunakan rata-ra...
1 jam.
Nampan Kedai Susu Kacang Kedelai Ditemukan Belatung, Dinkes New Taipei Minta Perbaikan
Sebuah unggahan di platform media sosial oleh pengguna netizen menyebut dua hari yang lalu saat makan di sebuah kedai susu kacang kedelai di Yonghe pada malam hari, ia menemukan banyak belatung di atas nampan. Setelah kejadian tersebut, selain pemilik kedai yang mengumumkan permintaan maaf seca...
2 jam.
Donald Trump Peringatkan Beijing, Akan Ada Masalah Besar Jika Tiongkok Pasok Senjata ke Iran
Presiden Amerika Serikat, Donald Trump, mengeluarkan peringatan keras kepada Tiongkok, menyatakan bahwa Beijing akan menghadapi masalah besar jika terbukti mengirimkan pasokan senjata ke Iran. Pernyataan tegas ini dilontarkan sebagai respons atas sebuah laporan intelijen AS yang mengindikasikan...
20 jam.
Lautan Manusia di Baishatun! Rekor 460.000 Peziarah Siap Sambut Keberangkatan Tandu Dewi Mazu
Atmosfer spiritual dan antusiasme publik mencapai puncaknya di Baishatun, Miaoli, menjelang dimulainya salah satu acara keagamaan terbesar dan paling dinanti di Taiwan, yakni Arak-arakan Tandu Dewi Mazu Baishatun. Tahun ini, jumlah pendaftar resmi telah memecahkan rekor tertinggi sepanjang sej...
21 jam.
Acara
Ikhtisar
Kategori
Ikhtisar Kategori Acara
Gaya Hidup
Nasional
Pelajaran Bahasa
Hiburan
Wisata
Sains
Edukasi
Berita
Interaktif
Podcast
Kedai dan Kolom Pendengar RTISI
RtiFM Online
Penyiar
Pedoman Acara
Berita
Acara
Video
Podcasts
Siaran RTI
Home
繁體中文
简体中文
English
Français
Deutsch
Indonesian
日本語
한국어
Русский
Español
ภาษาไทย
Tiếng Việt
Tagalog
Bahasa Melayu
Українська
Panduan website
Cari
Berita Taiwan
Taiwan Hari Ini
/
Acara
Mendengarkan
Dunia Kesehatan - 2025-10-16
16/10/2025
Dunia Kesehatan
Dunia Kesehatan
Dunia Kesehatan - 2025-10-09
Dunia Kesehatan - 2025-10-23
Podcasts URL Berlangganan
Ikuti Program & Podcast
Dunia Kesehatan
Penyiar:
Aditya Nugraha
Waktu Siar:
Kamis
Keterangan acara
Informasi Terkait Program Ini
Dunia Kesehatan - 2026-04-09
09/04/2026
Apa Penyebab Hipertensi
02/04/2026
Penyebab Naiknya Kolesterol
26/03/2026
Pola Makan Sehat selama Lebaran
19/03/2026
Menjaga Stamina selama Bulan Puasa
12/03/2026
為提供您更好的網站服務,本網站使用cookies。
若您繼續瀏覽網頁即表示您同意我們的cookies政策,進一步了解隱私權政策。
我了解
00:00
00:00
1
x
0.5
x
1
x
1.5
x
2
x